Nature and Biodiversity
GRI 304
Nature and Biodiversity
GRI 304
The relevant SDG is:

SDG 15
Protect, restore and promote sustainable use of terrestrial ecosystems, sustainably manage forests, combat desertification, and halt and reverse land degradation and halt biodiversity loss.
Anchored by our Biodiversity Policy, Swire Properties integrates nature and biodiversity considerations into our new developments and operations and, where relevant, works to minimise any adverse impacts of our operations on biodiversity and ecosystems.
In 2022, Swire Properties began developing biodiversity guidelines for Hong Kong and the Chinese Mainland. Completed in 2023 and 2024, the guidelines define the importance of biodiversity and the Company’s approach to protecting it across our new and existing developments in Hong Kong and the Chinese Mainland. They explain the importance of biodiversity, list various laws and regulations and recommend actions we can take. The guidelines include examples and checklists that will help project teams and management offices protect and enhance biodiversity in our properties and new projects.
Biodiversity Baseline Study and Surveys
Biodiversity Baseline Study and Surveys
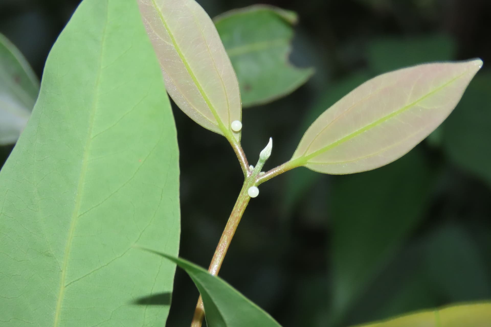
In mid-2024, we partnered with Kadoorie Farm and Botanic Garden (“KFBG”) to conduct a one-year biodiversity baseline study, documenting the biodiversity and conservation value of our four largest developments in Hong Kong – Citygate, Cityplaza, Pacific Place and Taikoo Place – through regular faunal and floral surveys.
These surveys made some fascinating and important discoveries that included birds of global conservation value, uncommon migratory birds and observations on the breeding behaviours of various birds and butterflies in our portfolio. Over the course of the study, we observed increases in bird and butterfly species when we compared the figures to a 2019/2020 pre-redevelopment survey, while birds were frequently seen bathing and drinking from water features at our developments. The number of winter bird species observed around Taikoo Place increased from eight in 2020 to 14 in 2024.
According to the autumn survey report, the occurrence of the Orange-headed thrush, an uncommon woodland dependent migrant in Hong Kong, in the Taikoo Square suggests that this garden, designed to mimic natural vegetation, has already attracted different wildlife and could serve as a stopover site for rare migratory birds.
The baseline biodiversity study was completed in 2025, and we conducted a sharing session on its findings and recommendations with the portfolio team. We will continue our biodiversity monitoring and enhancement work in 2026 at all our properties through the new KPIs set by our SD 2050 Strategy.
Taikoo Place Ecological Connectivity Assessment
Taikoo Place Ecological Connectivity Assessment
In 2025, we completed an ecological connectivity assessment of Taikoo Place with assistance from the research team of Canada’s Concordia University. The study focused on the contributions of Taikoo Place’s two green spaces – Taikoo Square and Taikoo Garden – to ecological connectivity and habitat networks at the neighbourhood scale and the property scale. We used the “Effective Mesh Size” metric (Indicator 2) from the City Biodiversity Index to evaluate the connectivity of these green spaces, and this indicator reflects the ease with which species can move between urban habitats, and therefore crucial for understanding ecological dynamics, as it influences species movement, habitat availability and overall biodiversity.
The assessment measured the average green area available to different types of wildlife and their accessibility to the neighbouring habitats. Nine movement profiles were developed, representing the different movement capabilities and mobility of urban wildlife, such as birds, butterflies, tods and frogs. The findings revealed how different urban barriers, such as distances exceeding animals’ movement ranges between habitats, high-res buildings, and road traffic affect the connectivity between green spaces.
The assessment determined that Taikoo Square and Taikoo Garden increased the effective mesh size by over 400 m2, improving wildlife accessibility across the Quarry Bay neighbourhood, particularly benefitting urban wildlife with higher mobility, such as birds and butterflies. Taikoo Square and Taikoo Garden also played an important role in connecting the three existing groups of habitat patches at Mount Parker, Quarry Bay Park, and the wider Taikoo Shing neighbourhood, increasing between-patch connectivity.
The study made a number of recommendations, including strategies to further reduce barriers within the landscape and prioritising the introduction of diverse native species in further landscaping work, to support urban biodiversity.
Creating Harmony Between Humans and Nature at Taikoo Li Sanya
Creating Harmony Between Humans and Nature at Taikoo Li Sanya
At Taikoo Li Sanya, we are committed to reintegrating nature into the urban environment to protect and enhance the rich biodiversity surrounding our development. This initiative began with an ecological survey, where experts conducted field assessments to map local species and habitats. The findings guided the design of green corridors that connect fragmented ecosystems, allowing wildlife to move freely. Our landscape design prioritises habitat restoration by incorporating native species that provide essential food, water and shelter, helping to restore the natural balance. By blending greenery into public spaces, we aim to create life-friendly environments where both people and nature can thrive together.
Additionally, we have embraced nature-inclusive and biophilic design principles, along with climate adaptation measures. We will implement an ecological corridor design concept to strengthen connectivity among green areas, including rooftop gardens, vertical gardens and other landscapes. This approach ensures the selection of native plant species to support and promote urban biodiversity, enriching our community’s relationship with the natural world.
Preserving Nature at our Developments
Tree Preservation at Savyvavasa
Tree Preservation at Savyvavasa
Before construction commenced, the Savyavasa site was home to mature trees, many of which had thrived undisturbed for over 30 years. Early in the planning process, we honoured the ecological and aesthetic value of these trees by deciding that no trees would be removed or destroyed from the site. Instead, we implemented a comprehensive tree preservation plan. When construction began, 268 trees were relocated to nurseries, where they were preserved and cared for during construction. So far, 68% of these trees have successfully been replanted. The remaining trees are still under professional care, ensuring they will be in an optimal condition before they are replanted.
The Nature Conservancy – Oyster Reef Restoration Roving Exhibition
The Nature Conservancy – Oyster Reef Restoration Roving Exhibition
This summer, Cityplaza hosted a roving exhibition by The Nature Conservancy on oyster reef restoration, educating the public about oyster reefs and their associated ecosystems. Swire Properties was proud to help raise public awareness about marine conservation and highlight the critical role oyster reefs play in restoring and protecting ecosystems.
SEE MORE IN




























